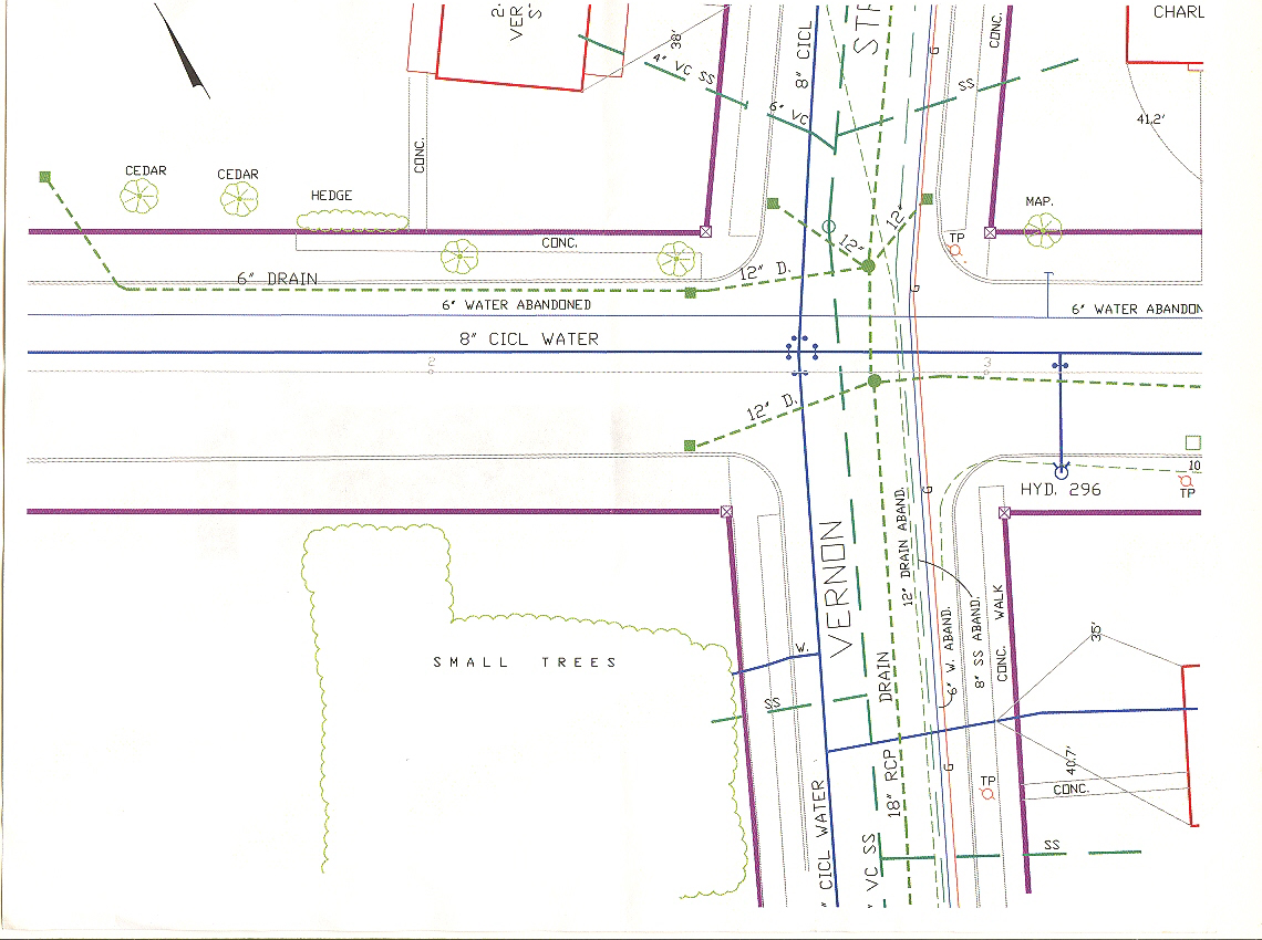
I love the old style lettering. In the upper left is the compass pointing north. It looks like the declination back then was 11 degrees 13 minutes. Today it is 14 degrees 28 minutes. I have a little trouble with this still, but it appears to me that the north south compass is pointing to solar south and north, not magnetic.
If you look at the sewer and water lines on Vernon St. you can see that there are stub lines already run under the sidewalk, which is great. It means we don’t have to pay to cut and repair the street. Unfortunately it also means we can’t tap into the gas lines. Greenfield won’t cut streets that are 5 years old or younger unless it is necessary.



I love old maps like that first one.